В Октябрьском районе на неделю закроют перекресток
10:47, 22 августа 2025
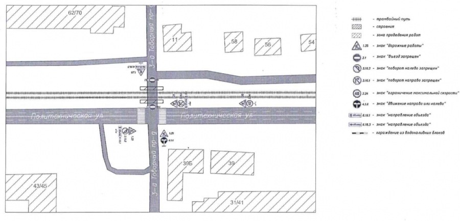
В Саратове временно закроют перекресток в Октябрьском районе. Об этом сообщил телеграм-канал «Саратов транспортный».
Пересечение Политехнической и 3-го Товарного проезда закроют с 7.00 23 августа по 22.00 30 августа. В это время проезд организуют по временной схеме.
Вероятно, это связано со строительством дороги-дублера улицы Политехнической. Новая дорога пройдет на участке от 3-го Товарного проезда до дома №12 по Политехнической. В ходе строительства будет заасфальтирована площадь в 3600 квадратных метров.
- 1 Ночью в Саратове горела инфекционная больница. Есть пострадавшие
- 2 В Саратовской облдуме хотят лишить пенсии Рашкина и других депутатов-уголовников
- 3 При пожаре в инфекционной больнице в Саратове пострадали 7 человек
- 4 В Саратове один из пострадавших после атаки БПЛА остается в стационаре
- 5 Под Вольском расследуют дело о смерти ребенка-инвалида из-за откушенной соски
- 1 Агломерация Аяцкова: вместо развития Саратова – обогащение экс-губернатора?
- 2 В Саратове два человека пострадали при попадании БПЛА в многоквартирный дом
- 3 Юрист Вальков просит привлечь к ответственности клеветников из «Взгляда»
- 4 Атака БПЛА в Саратове: в домах выбиты окна, пострадала женщина
- 5 Над Саратовской областью сбили 8 БПЛА: повреждены гражданские объекты









